I just got this in the mail. Meeting will be on November 14, 2018 at 2:00 PM at the Manuel Maloof Center. According to the notice, owner Eitan Varon is applying via Attorney Carl Westmoreland to get the variance of the transitional buffer reduced from 20 feet to 6 feet. Note that the current owner is Valentin Ciuperca, not Eitan Varon, so it is still unclear why Varon’s name persists on these notices.
The proposed ordinance change will allow them to build within 6 feet of the property line instead of 20 feet as per the zoning. I am unclear if this relates to them violating the setback (as they are violating with units 10 and 11) or if this is related to another buffer near a neighbor’s property. I am unclear what they are trying to do here – please comment below.
According to DeKalb code:
- Transitional buffers are intended to create a visual screen in order to diminish the potential negative impacts of non-residential and mixed land uses on adjacent residential land uses. Similarly, transitional buffers diminish the potential negative impacts of higher intensity residential development on adjacent single-family residential land uses.


I noticed a blue sign on the property today. Is it the notice for this meeting?
I have no idea which buffer they are referring to. I wish I had a clue.
LikeLike
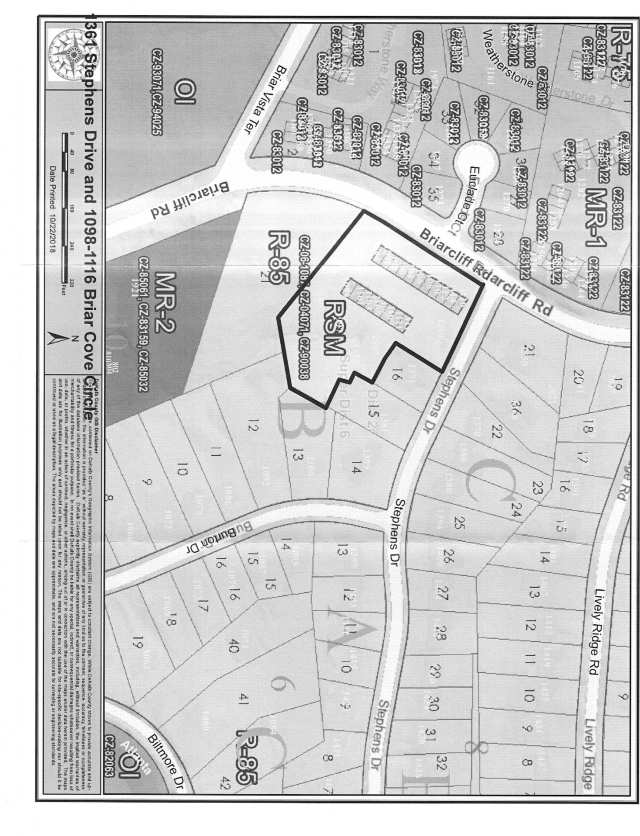
Based on the announcement and the attached map, this variance appears to be for the entire project. If approved, Bldg 10 & 11 would be in the approved new setback (6 ft.) and we could not force Bldg 11 to be taken down. Also impacts on second row of town-homes and the houses on Burton and Stephens.
LikeLike
For those of you who were unable to attend today’s Board of Commissioners Meeting, Kathy spoke concisely about our concerns about the building and the multiple violations of the current zoning. She asked the county to put a stop work order on the entire site stating that every time there is a delay/deferral, the builder keeps putting more facts of the ground (completing more of the townhouses).
The Board of Commissioner’s voted to defer any decisions until the December 4 Board of Commissioner’s meeting.
If it is possible for you to attend tomorrow’s meeting at 2 pm, please try to do so. (2 pm at the Maloof Auditiorium on Commerce Drive, Decatur). The parking deck can be busy and you may need to drive around a lot to find a space. Please make sure you leave time to drive around the parking deck (it took me almost 20 minutes today to find a space.) Hopefully, the parking deck won’t be as crowded tomorrow because it is an afternoon meeting.
LikeLike
The request was denied. See https://hasobi.org/2018/11/14/zoning-appeals-board-meeting-11-14-2018/
LikeLike